조황관리HOME / 조황관리 / 상세정보

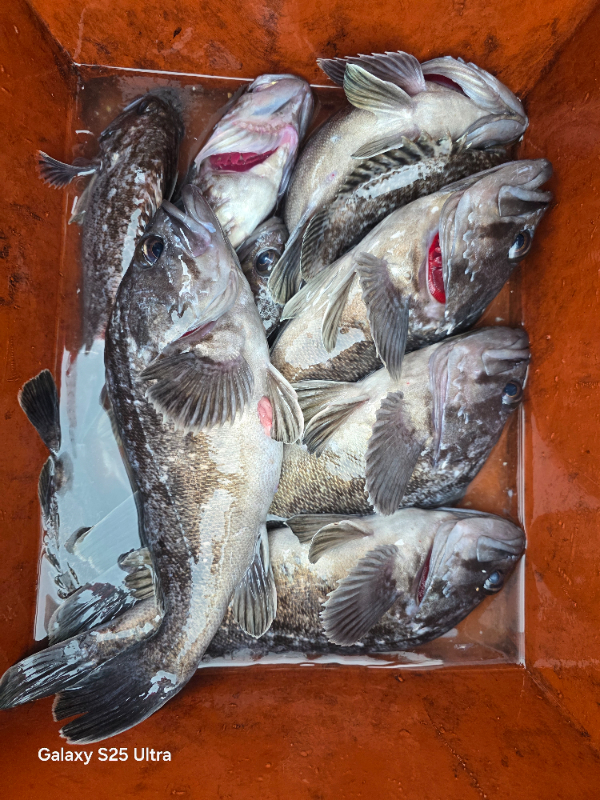
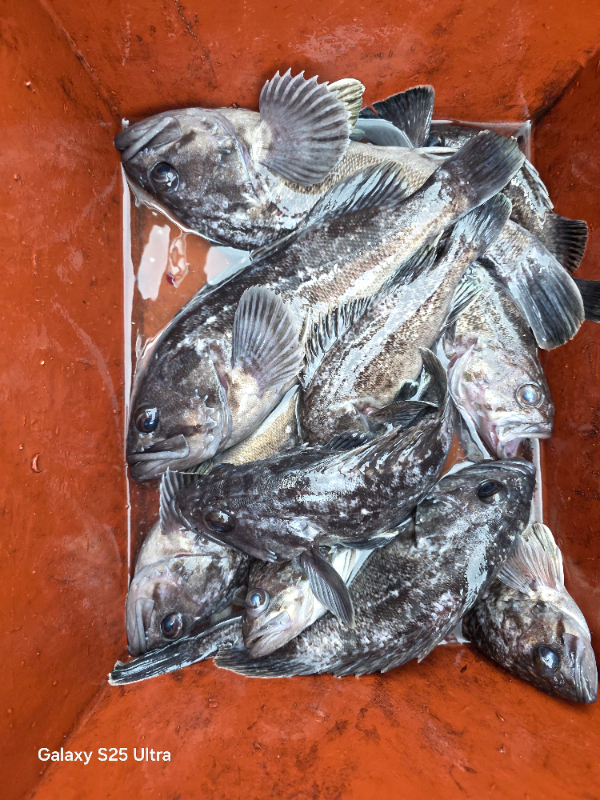
제목 : 2025.12.28 태안 마검포 신출항호 우럭 라이트지깅
등록일 : 2025-12-30



#조황정보
2025.12.28 일요일
무시

다녀왔습니다
오전부터 무시무시한 너울과싸우다
인당 8~25수씩 먹거리들 잡으시고 입항
고생들하셨습니다



KakaoTalk_20251229_175417762_08.jpg


KakaoTalk_20251229_175417762.jpg


KakaoTalk_20251229_175417762_01.jpg


KakaoTalk_20251229_175417762_02.jpg


KakaoTalk_20251229_175417762_03.jpg


KakaoTalk_20251229_175417762_04.jpg


KakaoTalk_20251229_175417762_05.jpg


KakaoTalk_20251229_175417762_06.jpg


KakaoTalk_20251229_175417762_07.jpg

 


====== 마검포 신출항호 예약안내 =======

태안 최고의 포인트로 안내합니다.

■ 휴대전화 : 010-4992-1701 
 
■ 홈페이지 바로가기 : http://seojin.sunsang24.com/

■ 밴드가입 : https://band.us/@woojin1809


■ 배타는곳 : 충남 태안군 남면 신온리 마검포항(수협 공판장 앞)

■ 출조점(승선명부 작성 및 채비구입) :  충남 태안군 남면 마검포길 176 출항수산
 


모바일.jpg


Top