조황관리HOME / 조황관리 / 상세정보

제목 : 2025.12.30 태안 마검포 신출항호 우럭 라이트지깅
등록일 : 2025-12-30



#조황정보
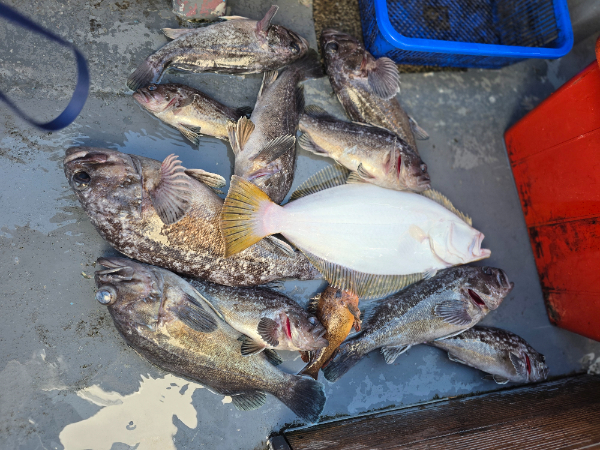
2025.12.30 화요일 우럭라이트지깅
2물

다녀왔습니다
열분 조사님과 너울을 뚫고 출항
조금씩 잔잔해지는 바다
며칠 꽝 조황으로 무너진 자존심 회복 할려고 부지런히 모시고 다녔습니다
우라징 처음 하시는 두분 빼고는 다들 삐꾸통 가득 채워 주셨고 32리터 쿨러 만쿨 해주신 사과농장주인님 굿조황 감사합니다



KakaoTalk_20251230_174957592_10.jpg


KakaoTalk_20251230_174957592_16.jpg


KakaoTalk_20251230_174957592_12.jpg


KakaoTalk_20251230_174957592_17.jpg


KakaoTalk_20251230_174957592_15.jpg


KakaoTalk_20251230_174957592.jpg


KakaoTalk_20251230_174957592_01.jpg


KakaoTalk_20251230_174957592_02.jpg


KakaoTalk_20251230_174957592_03.jpg


KakaoTalk_20251230_174957592_04.jpg


KakaoTalk_20251230_174957592_05.jpg


KakaoTalk_20251230_174957592_06.jpg


KakaoTalk_20251230_174957592_07.jpg


KakaoTalk_20251230_174957592_13.jpg


KakaoTalk_20251230_174957592_08.jpg


KakaoTalk_20251230_174957592_09.jpg


KakaoTalk_20251230_174957592_11.jpg


KakaoTalk_20251230_174957592_14.jpg


KakaoTalk_20251230_174957592_18.jpg

 


====== 마검포 신출항호 예약안내 =======

태안 최고의 포인트로 안내합니다.

■ 휴대전화 : 010-4992-1701 
 
■ 홈페이지 바로가기 : http://seojin.sunsang24.com/

■ 밴드가입 : https://band.us/@woojin1809


■ 배타는곳 : 충남 태안군 남면 신온리 마검포항(수협 공판장 앞)

■ 출조점(승선명부 작성 및 채비구입) :  충남 태안군 남면 마검포길 176 출항수산
 


모바일.jpg


Top