조황관리HOME / 조황관리 / 상세정보

제목 : 2026.04.14 태안 마검포 신출항호 우럭라이트지깅
등록일 : 2026-04-15



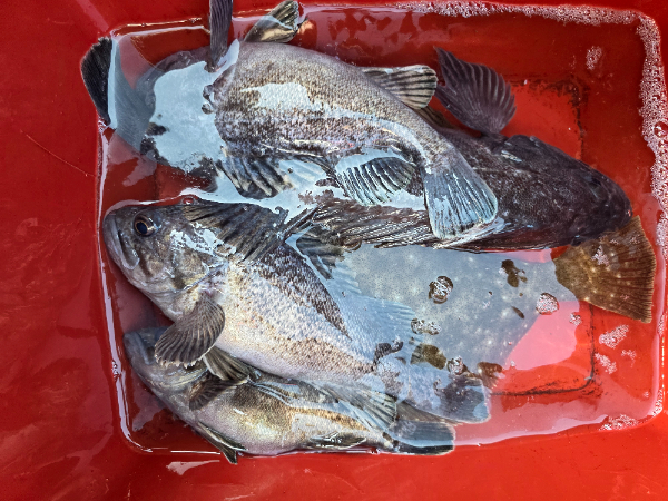
다녀왔습니다
오늘 네분 모시고 너무 즐겁게 즐기고 왔습니다 
면세유가 배로 올랐지만 기름 안아끼고 열심히 똥침만 찾아다녀서 다들 양손 무겁게 가셨네요
한분은 초보신데요 잘따라와 주셔서 드실만큼 잡으셨습니다
혼자 광어 5광에 ㅋ
광어는 17광 나왔습니다
평일 소수인원으로도 열심히 야무지게 모십니다


1779.jpg


1775.jpg


1767.jpg


1764.jpg


1762.jpg



====== 마검포 신출항호 예약안내 =======

태안 최고의 포인트로 안내합니다.

■ 휴대전화 : 010-4992-1701 
 
■ 홈페이지 바로가기 : http://seojin.sunsang24.com/

■ 밴드가입 : https://band.us/@woojin1809


■ 배타는곳 : 충남 태안군 남면 신온리 마검포항(수협 공판장 앞)

■ 출조점(승선명부 작성 및 채비구입) :  충남 태안군 남면 마검포길 176 출항수산
 


모바일.jpg


Top